Developer Seeks Winnsboro Water

95 homes planned near Blythewood Middle School

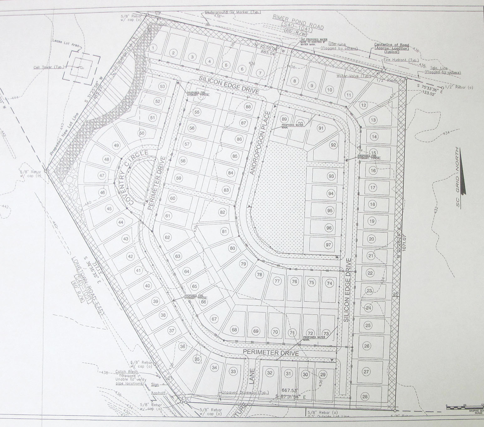
WINNSBORO – Developers of a 95-unit neighborhood planned across from Blythewood Middle School on Longtown Road West at Rimer Pond Road are seeking water capacity of 38,000 gallons of water per day from Winnsboro Town Council. Representing LongCove Venture, John Thomas said at Tuesday night’s Town Council meeting that the development, named East Lake Village, is currently in the permitting process and will go before the Richland County Development Review Team Friday, Dec. 27.

“Then, we’ll take about 90 days to do the engineering drawings and get everything submitted for permitting for the County and the Department of Health and Environmental Control,” Thomas said.

Thomas said construction should start in the spring and that the homes would be primarily starter homes in the $180,000 – $225,000 range.

Winnsboro Mayor Roger Gaddy said he expects the developers to be back asking Council for approval in four to six weeks.

“At that time, we’ll have to decide if we will need another water tower to accommodate them. And if we, do we want to spend a million dollars on it? We’ll have to think about this,” Gaddy said.

Tags:
Scroll to Top